

902 560 Kč
Pozemek, Dolejší Předměstí, Domažlice
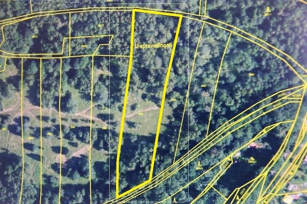
Samostatný pozemek pravidelného tvaru se vzrostlým smíšeným porostem v klidné, přírodní lokalitě navazující rekreační klidové plochy městského lesoparku o celkové výměře 5.641 m² v okrajové části okresního města Domažlice. Pozemek je dle platného územního plánu součástí ploch určených jako plocha zeleně na veřejných prostranstvích (ZV) navazující na místní lesní biokoridor, bez možnosti využití pozemku k jakékoli výstavbě. Jedná se o pozemek dle evidence katastru nemovitostí vedený jako ostatní plocha, který není pod ochranou zemědělského půdního fondu, situovaný v rovinatém a částečně mírně svažitém terénu s výhledem do přírodní krajiny. Pozemek pravidelného obdélníkového tvaru je nezastavěný, bez stávajících budov, zpevněných venkovních úprav a oplocení se vzrostlými jehličnatými, listnatými náletovými dřevinami, keři a travním porostem, navazující na pozemky stejného charakteru a je dostupný nezpevněnou lesní cestou následně navazující na zpevněnou komunikaci. Pozemek je součástí lokálního přírodního biokoridoru veřejného lesoparku v okrajové části města Domažlice sloužícího jako klidová přírodní plocha k rekreačním účelům. V minulosti byla celá lokalita využívána jako vojenské cvičiště. Lokalita navazuje na jihozápadní, okrajovou část města s nedalekou zástavbou rekreačních chat a zahrad (zahrádkářská kolonie) a na vzrostlé lesní porosty sloužící jako klidové a přírodní prostranství okresního města Domažlice. Pozemek bez napojení na jakékoli rozvody inženýrských sítí. Výměra pozemku celkem: 5.641 m²
Parametry
- ID nabídky Realingo-257122
- Osobní vlastnictví
- na Realingu
- Aktualizace před 64 dny
Co je v okolí
včetně kontaktních údajů na majitele
Jste inzerent?
Je toto vaše nabídka? Vylepšete ji a získejte více zájemců. Inzerování na Realingu je zdarma pro všechny.
včetně kontaktních údajů na majitele
Jste inzerent?
Je toto vaše nabídka? Vylepšete ji a získejte více zájemců. Inzerování na Realingu je zdarma pro všechny.


